HOME (Nieuwe
zoek
opdracht)
◄ ZOEKPAGINA
Alle BLAUWE tekst is aanklikbaar
klik hier voor PERMALINK in browserbalk
©
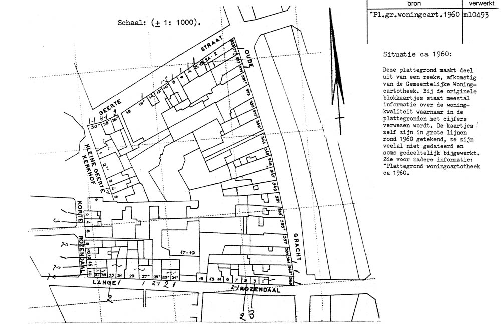
naar resultaten
van zoekopdracht
▼ KLIK voor alles over het trefwoord: trefwoord:
Utrecht - Blok A22
Kaart 6
losse afbeeldingen
Utrecht - Blok A22
1960.0010b