HOME (Nieuwe
zoek
opdracht)
◄ ZOEKPAGINA
Alle BLAUWE tekst is aanklikbaar
klik hier voor PERMALINK in browserbalk
©
naar resultaten
van zoekopdracht
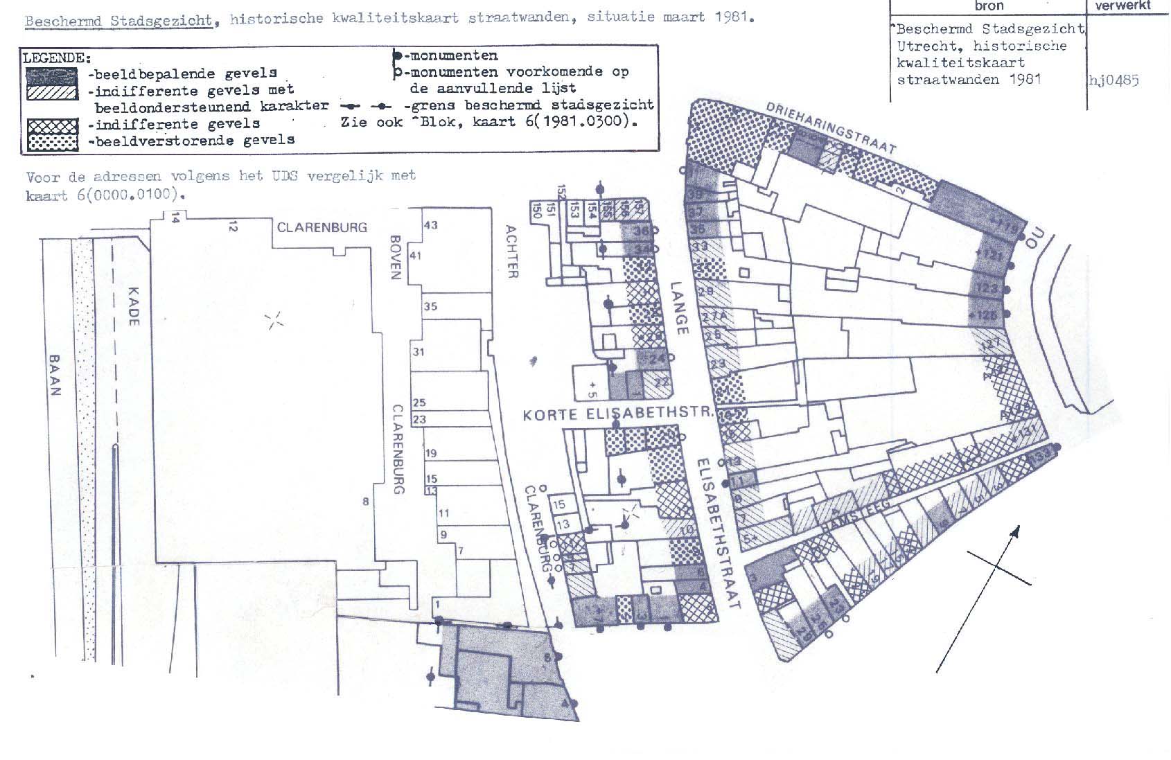
Kleur op gebouw - Waterland
▼ KLIK voor alles over het trefwoord: trefwoord:
Utrecht - Blok A11
Kaart 6
losse afbeeldingen
Utrecht - Blok A11
1981.0300