HOME (Nieuwe
zoek
opdracht)
◄ ZOEKPAGINA
Alle BLAUWE tekst is aanklikbaar
klik hier voor PERMALINK in browserbalk
©
naar resultaten
van zoekopdracht
▼ KLIK voor alles over het trefwoord: trefwoord:
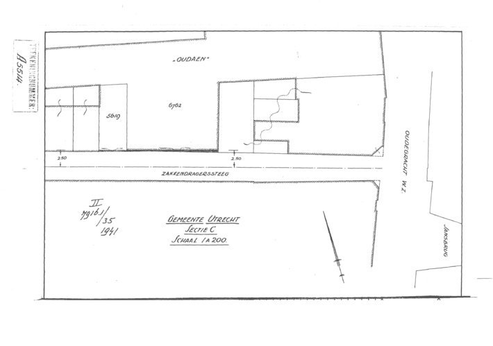
Utrecht - Oudegracht 99
Utrecht - Oudegracht 99
1941.0600c
bron
Bouwtekening,
bewaard in
Het Utrechts Archief.
Vindplaats:
GAU/SA6-bouwtek.-
tek.nr: 7916.1/35
Datum:
06-1941
Opmerkingen:
Deze tekening hoort bij het dossier van
Utrecht - Oudegracht 99
(Oudaan)
Situatietekening bij het bouwplan voor
Zakkendragerssteeg 9 (gesloopt 1979)
verwerkt