HOME (Nieuwe
zoek
opdracht)
◄ ZOEKPAGINA
Alle BLAUWE tekst is aanklikbaar
klik hier voor PERMALINK in browserbalk
©
naar resultaten
van zoekopdracht
▼ KLIK voor alles over het trefwoord: trefwoord:
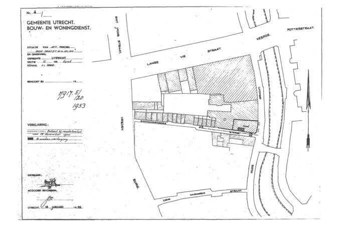
Utrecht - Oudegracht 103
Utrecht - Oudegracht 103
1952.0118a
bron
Bouwtekening,
bewaard in
Het Utrechts Archief.
Vindplaats:
GAU/SA6-bouwtek.-
tek.nr: 7917.5/20
Datum:
18-01-1952
Opmerkingen:
Utrecht - Oudegracht 103 (op 2 kaarten)
verwerkt