HOME (Nieuwe
zoek
opdracht)
◄ ZOEKPAGINA
Alle BLAUWE tekst is aanklikbaar
klik hier voor PERMALINK in browserbalk
©
naar resultaten
van zoekopdracht
Zanstraat
▼ KLIK voor alles over het trefwoord: trefwoord:
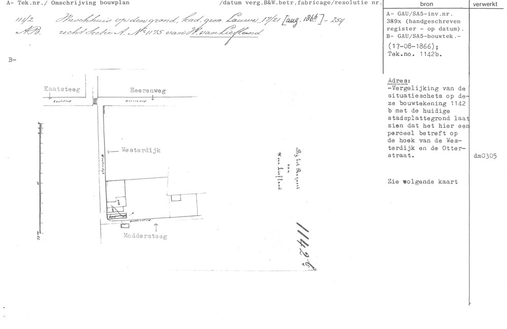
Utrecht - Westerdijk - zonder bekend huisnr. - 1866a
Kaart 6
losse afbeeldingen
Utrecht - Westerdijk - zonder bekend huisnr. - 1866a
1866.0817a