HOME (Nieuwe
zoek
opdracht)
◄ ZOEKPAGINA
Alle BLAUWE tekst is aanklikbaar
klik hier voor PERMALINK in browserbalk
©
naar resultaten
van zoekopdracht
('s-) Heer Arendskerke
▼ KLIK voor alles over het trefwoord: trefwoord:
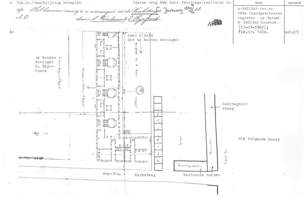
Utrecht - Kerkstraat - bouwplan 1869a
Kaart 6
losse afbeeldingen
Utrecht - Kerkstraat - bouwplan 1869a
1869.0112a