HOME (Nieuwe
zoek
opdracht)
◄ ZOEKPAGINA
Alle BLAUWE tekst is aanklikbaar
klik hier voor PERMALINK in browserbalk
©
naar resultaten
van zoekopdracht
Opperdoes
▼ KLIK voor alles over het trefwoord: trefwoord:
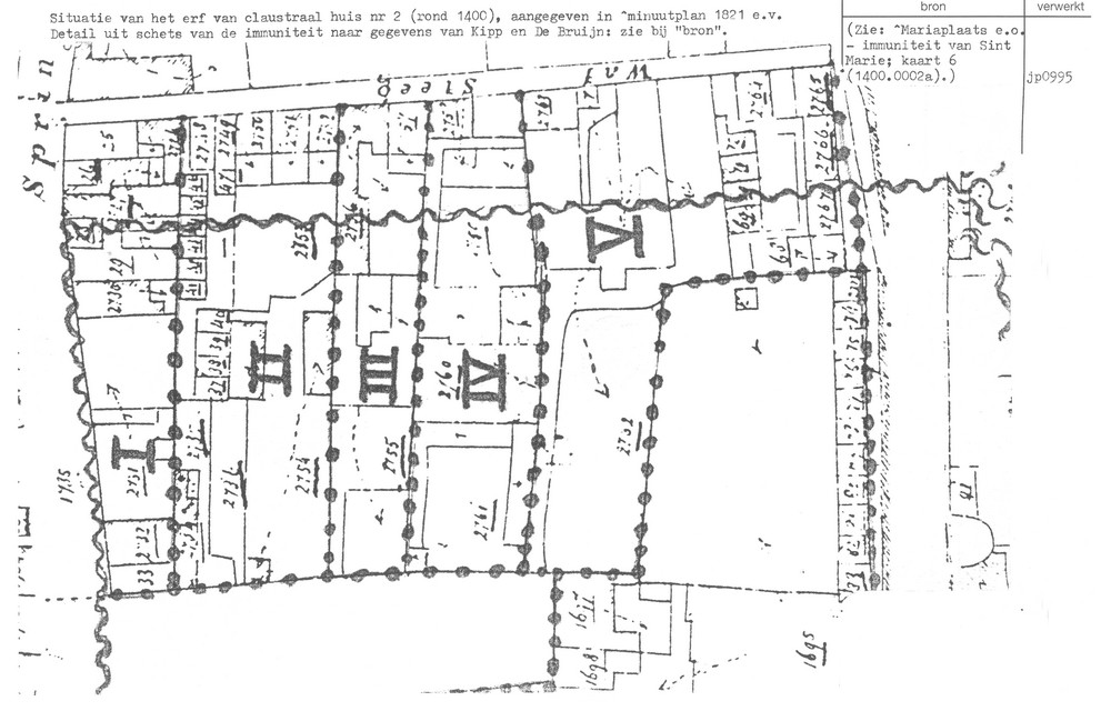
Utrecht - Mariaplaats e.o. - claustraal huis en erf nr 2
Kaart 6
losse afbeeldingen
Utrecht - Mariaplaats e.o. - claustraal huis en erf nr 2
1400.0001