HOME (Nieuwe
zoek
opdracht)
◄ ZOEKPAGINA
Alle BLAUWE tekst is aanklikbaar
klik hier voor PERMALINK in browserbalk
©
naar resultaten
van zoekopdracht
Culemborg
▼ KLIK voor alles over het trefwoord: trefwoord:
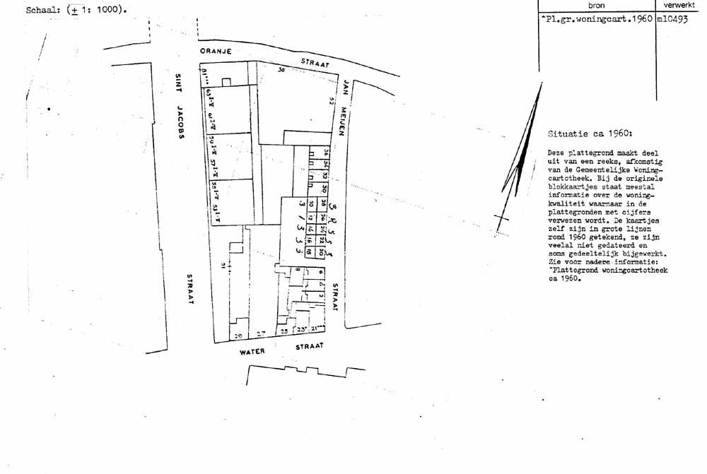
Utrecht - Blok A03
Kaart 6
losse afbeeldingen
Utrecht - Blok A03
1960.0010c