◄ ZOEKPAGINA
alle BLAUWE tekst is aanklikbaar
klik hier voor PERMALINK in browserbalk
©
terug naar resultaten
van zoekopdracht
Nieuwkuijk - kasteel van Drunen
▼ KLIK voor alles over het trefwoord:
Utrecht - Walsteeg 28 e.v. - Grootepoort
pagina
5
van
8
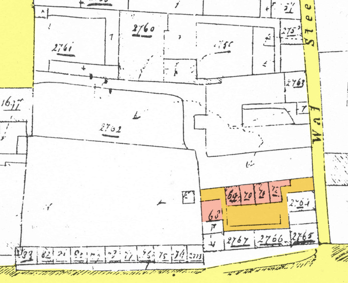
Utrecht - Walsteeg 28 e.v. - Grootepoort
1832.0002a.
bron
Soort afbeelding:
Kadastraal minuutplan
Datering:
ca 1832
Vervaardiger en/of uitgave:
-
Omschrijving:
Walsteeg 28 e.v. - Grootepoort
.
Vermoedelijk beslaat het hofje met de omringende bebouwing het perceel van
Huis Lamparden
.
Opmerkingen:
Situatie van het slop in 1832. Zie voor de percelen de gesloopte panden:
C 2772 (Walsteeg 28)
,
C 2771 (Walsteeg 29)
,
C 2770 (Walsteeg 30)
,
C 2769 (Walsteeg 31)
en mogelijk andere panden.
Zie daarvoor:
C 2764 (Walsteeg 34, de toren)
,
C (ongenummerd), (Walsteeg 32)
,
C 2765 (Walsteeg 35)
,
C 2766 (Achter de Wal 12)
,
C 2767 (Achter de Wal 11)
.
verwerkt
jp1211
@171710@
'15:19 19-2-2008