◄ ZOEKPAGINA
alle BLAUWE tekst is aanklikbaar
klik hier voor PERMALINK in browserbalk
©
terug naar resultaten
van zoekopdracht
Harderwijk - Straat van Sevenhuysen
▼ KLIK voor alles over het trefwoord:
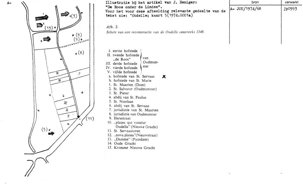
Utrecht - Servaasbolwerk - Servaasabdij - hofstede
pagina
1
van
2
Utrecht - Servaasbolwerk - Servaasabdij - hofstede
1348.0001
'15:19 19-2-2008