◄ ZOEKPAGINA
alle BLAUWE tekst is aanklikbaar
klik hier voor PERMALINK in browserbalk
©
▼ KLIK voor alles over het trefwoord:
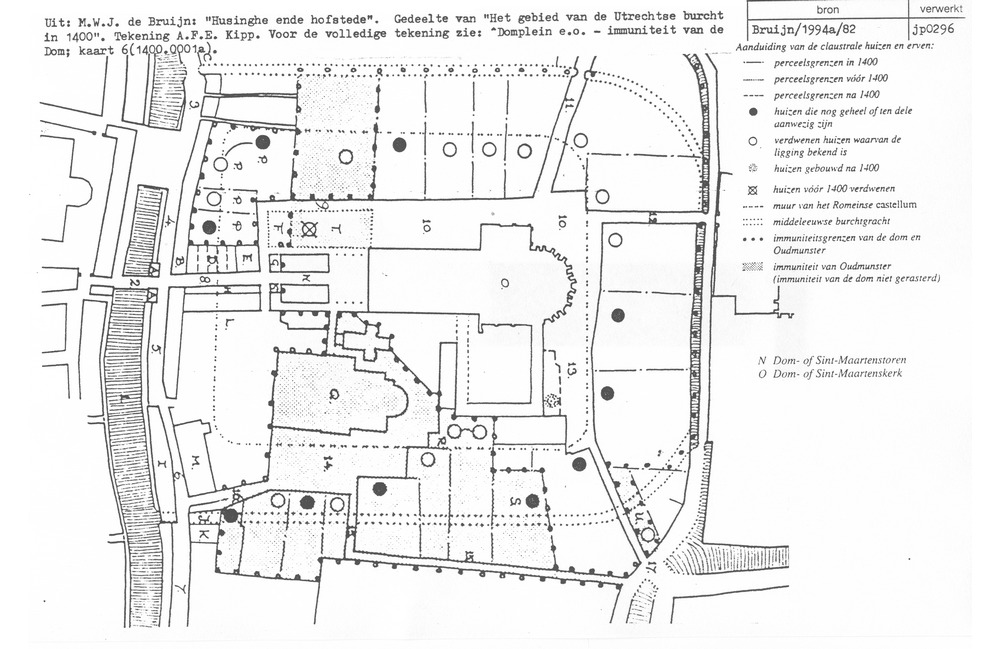
Utrecht - Domplein
pagina
27
van
61
Utrecht - Domplein
1400.0001a
'15:19 19-2-2008