◄ ZOEKPAGINA
alle BLAUWE tekst is aanklikbaar
klik hier voor PERMALINK in browserbalk
©
terug naar resultaten
van zoekopdracht
Wadenoijen
▼ KLIK voor alles over het trefwoord:
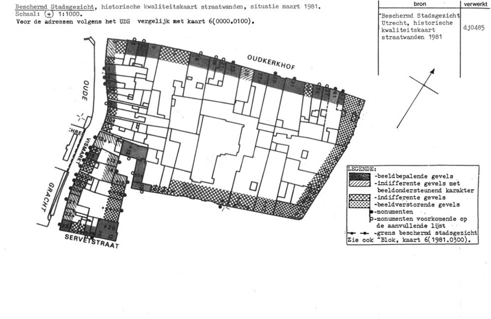
Utrecht - Blok A40
pagina
27
van
29
Utrecht - Blok A40
1981.0300
'15:19 19-2-2008