◄ ZOEKPAGINA
alle BLAUWE tekst is aanklikbaar
klik hier voor PERMALINK in browserbalk
©
▼ KLIK voor alles over het trefwoord:
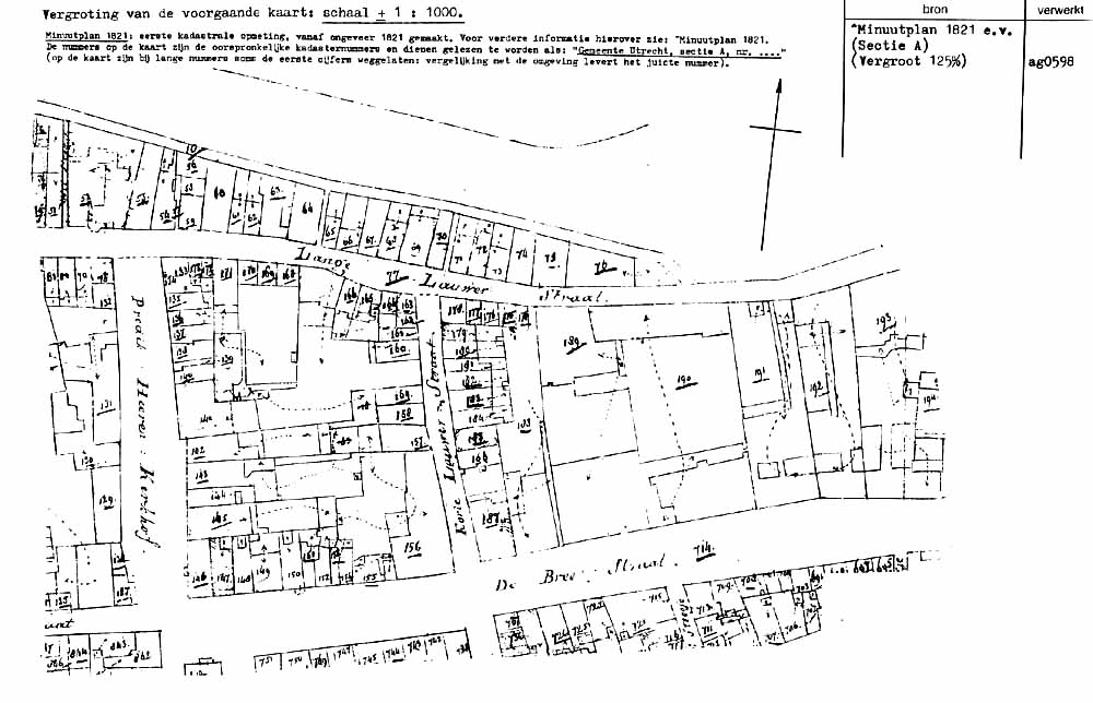
Utrecht - Blok A26
pagina
6
van
14
Utrecht - Blok A26
1821.0001b
'15:19 19-2-2008