◄ ZOEKPAGINA
Alle BLAUWE tekst is aanklikbaar
©
terug naar resultaten
van zoekopdracht
▼
KLIK hieronder
voor alles over dit trefwoord
afbeelding
6
van
73
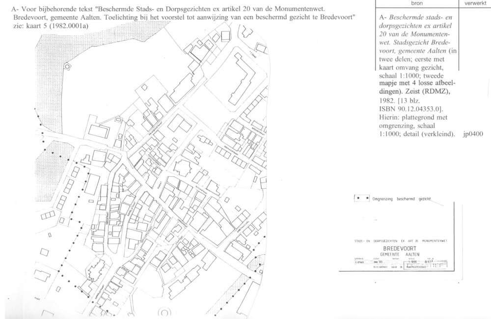
Beschermd Stadsgezicht - Bredevoort
.1983.0500b