◄ ZOEKPAGINA
Alle BLAUWE tekst is aanklikbaar
©
terug naar resultaten
van zoekopdracht
(De) Marne
▼
KLIK hieronder
voor alles over dit trefwoord
afbeelding
43
van
114
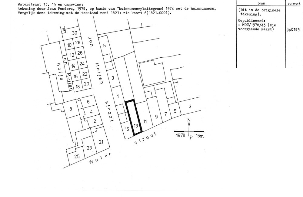
Utrecht - Waterstraat 13 e.v. - Vijfzusterhuis
.1978.0001b