◄ ZOEKPAGINA
Alle BLAUWE tekst is aanklikbaar
©
terug naar resultaten
van zoekopdracht
▼
KLIK hieronder
voor alles over dit trefwoord
afbeelding
948
van
1000
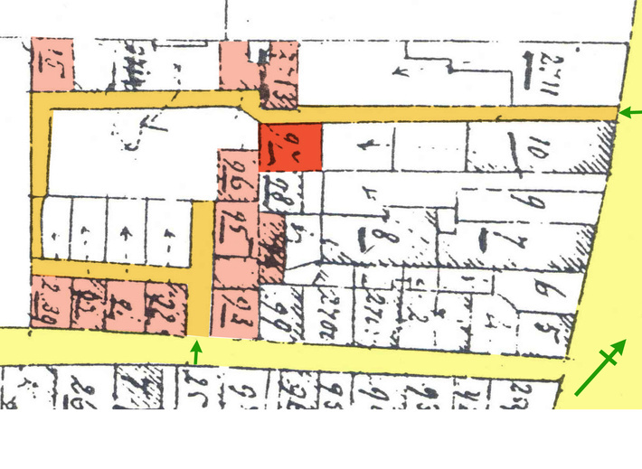
Utrecht - Springweg 49 - gesloopt (oud adres)
.1832.0002a
bron
Soort afbeelding:
Kadastraal minuutplan
Datering:
ca 1832
Vervaardiger en/of uitgave:
-
Omschrijving:
Vermoedelijk is
Springweg 49
het pand dat hier donkerder
rood
is gekleurd (nummer
C 2697
).
Het gesloopte pand lag in het dubbele slop
Utrecht, de Nathanaëlspoort
Opmerkingen:
Rond 1832 omvatte het slop, van links onder tegen de klok in, de panden:
C 2689 =
Springweg 35
(oud adres)
C 2690 =
Springweg 37
(oud adres)
C 2691 =
Springweg 39
(oud adres)
C 2692 =
Springweg 41
(oud adres)
C 2693 =
Springweg 43
(oud adres)
C 2694 =
Springweg 45
(oud adres)
C 2695 =
Springweg 47
(oud adres)
C 2696 =
Springweg 47
(gedeelte van dit pand)
C 2697 =
Springweg 49
(vermoedelijk)
C 2713 =
Springweg 21
(oud adres)
EN
Springweg 23
(oud adres)
C 2715 =
Springweg 33
(oud adres)
verwerkt
jp0112