◄ ZOEKPAGINA
Alle BLAUWE tekst is aanklikbaar
©
terug naar resultaten
van zoekopdracht
▼
KLIK hieronder
voor alles over dit trefwoord
afbeelding
83
van
261
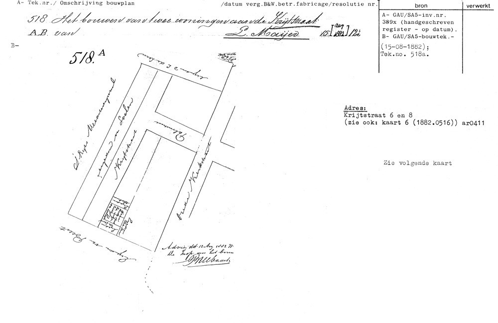
Utrecht - Krijtstraat 8
.1882.0815a