◄ ZOEKPAGINA
Alle BLAUWE tekst is aanklikbaar
©
terug naar resultaten
van zoekopdracht
Beschermd Stadsgezicht - Buren-GLD
▼
KLIK hieronder
voor alles over dit trefwoord
afbeelding
57
van
178
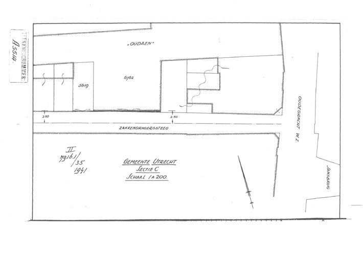
Utrecht - Zakkendragerssteeg 9 (gesloopt 1979)
.1941.0600c
bron
Bouwtekening,
bewaard in
Het Utrechts Archief.
Vindplaats:
HUA
tek.nr: 7916.1/35
Datum:
06-1941
Opmerkingen:
Deze tekening hoort bij het dossier van
Utrecht - Oudegracht 99
(Oudaan)
Situatietekening bij het bouwplan voor
Zakkendragerssteeg 9 (gesloopt 1979)
verwerkt
bg1108